Ernährung
Leopardgeckos sind Insektenfresser. Geeignete Futtertiere und Supplements sind wichtig für die Gesundheit.
Futterempfehlungen
- Heimchen, Grillen, Dubia-Schaben
- Mehlwürmer selten (fettig)
- Kalzium + Vitamin D3 & Multivitamine nach Bedarf
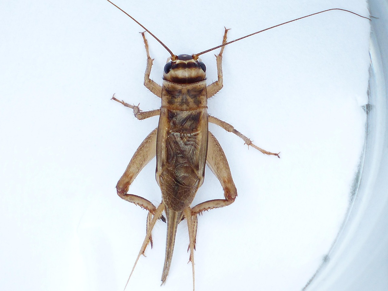
Geeignete Insekten
Grillen, Heimchen und Schaben bilden die Basis einer ausgewogenen Gecko-Ernährung.
Supplemente
Kalzium, Vitamin D3 und gelegentliche Vitamine sind unverzichtbar.
Fütterungsrhythmus
Jungtiere täglich, erwachsene Tiere etwa 2–3-mal wöchentlich füttern.
Bildergalerie
(sind so eine Art Süßigkeit für Geckos)
(Ist das Standardfutter mit relativ wenig aufwand zu halten)